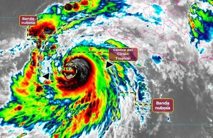
La tormenta tropical Hilary se intensificó este jueves a huracán categoría 1 en la escala Saffir-Simpson, informó el Sistema Metereológico Nacional de la Conagua (SMN).
‘Hilary’ provocará fuertes lluvias a puntuales muy fuertes en estados del occidente, centro y sur de México, incluido el Valle de México; así como rachas de viento fuerte y oleaje elevado en las costas de Guerrero, Michoacán, Colima y Jalisco.
De acuerdo con el SMN, la onda tropical número 23 se desplazará lentamente sobre el sureste mexicano y en interacción con un canal de baja presión en el sur del Golfo de México, ocasionará lluvias fuertes a muy fuertes con descargas eléctricas en Tabasco, Chiapas, Oaxaca y Veracruz, e intervalos de chubascos en la Península de Yucatán.
Sigue la información sobre los negocios y la actualidad en Forbes México
En Estados Unidos, el Centro Nacional de Huracanes confirmó también el paso de Hilary de tormenta a huracán y afirmó que se espera que se debilite significativamente antes de que llegue al sur de California y partes del suroeste, aunque podría dejar fuertes lluvias e inundaciones en la zona.
Según afirmó a CNN el científico de la Universidad de California en Los Ángeles, Daniel Swain, “la precipitación de varios años” podría caer en algunas de las áreas más secas de California.
De acuerdo con el SMN de México, el fenómeno se desplaza hacia el oeste-noroeste a 20 kilómetros por hora y tiene vientos sostenidos de 120 kilómetros por hora con rachas de 150 kilómetros por hora.
El pronóstico estima que Hilary tocará tierra el lunes, cuando impactaría al norteño estado de Baja California como tormenta tropical.
Por ahora, el SMN previó que el huracán ocasione lluvias “puntuales muy fuertes” en los estados de Nayarit, Jalisco, Colima, Michoacán y Guerrero, todos en el Pacífico mexicano.
También informó de lluvias “fuertes” en Guanajuato, Estado de México, Ciudad de México y Morelos.
Asimismo, el reporte avisó de viento con rachas de 70 a 90 kilómetros por hora y oleaje de 4 a 6 metros de altura en Jalisco, Colima y Michoacán, además de rachas de 50 a 70 kilómetros por hora y oleaje de 3 a 5 metros de altura en Guerrero.
Hilary es el octavo ciclón con nombre de la actual temporada de huracanes del Pacífico.
A principios de mayo, el Gobierno de México pronosticó la posible formación de hasta 38 ciclones con nombre en la temporada 2023, de los cuales 5 podrían afectar al país.
De esa cifra, entre 16 y 22 sistemas podrían presentarse por el océano Pacífico y entre 10 y 16 por el Atlántico.
¿Te gusta informarte por Google News? Sigue nuestro Showcase para tener las mejores historias






